Super Typhoon Sinlaku Heads Toward Mariana Islands
Sinlaku, the strongest storm globally so far in 2026, is approaching the Northern Mariana Islands and Guam with sustained winds around 173–175 mph and heavy rain expected.

Dangerous super typhoon barreling toward group of remote US islands
U.S. island territories brace for super typhoon, strongest storm so far this year, in western Pacific Ocean

Monster typhoon in the Pacific Ocean is bearing down on group of remote US islands

Super Typhoon Sinlaku, The Most Powerful Storm Of 2026 So Far, Is Heading For US Territory

Weather tracker: Super Typhoon Sinlaku threatens Mariana Islands
Overview
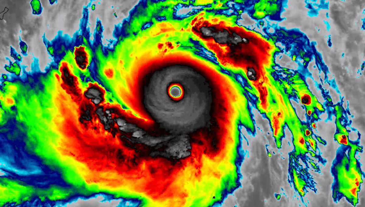
As of April 13, Super Typhoon Sinlaku was producing sustained winds of roughly 173 to 175 mph as it neared Rota, Tinian and Saipan, according to the Joint Typhoon Warning Center.
The National Weather Service said Sinlaku is expected to make landfall on Tuesday in the Northern Mariana Islands with destructive winds, heavy rain and flooding.
Guam was under a tropical storm warning and U.S. military officials warned personnel to prepare and shelter in place, while President Donald Trump approved emergency disaster declarations for Guam and the Northern Mariana Islands.
About 50,000 people live on Rota, Tinian and Saipan and Guam has about 170,000 residents, while typhoon-force winds extended up to 80 miles and tropical-storm-force winds up to 275 miles from the storm's center.
Forecasters said Sinlaku should cross near the islands as a Category 4 or 5 typhoon and could bring lengthy power outages, hazardous seas and storm surge in addition to heavy rainfall.
Analysis
Center-leaning sources present this as largely neutral, relying on official agencies for facts and using descriptive language about storm strength and impacts rather than political framing. They cite the National Weather Service, Joint Typhoon Warning Center, and military warnings, include historical context and concrete forecasts, and avoid partisan interpretation.